Hongkongi võib tabada tugev taifuun

Hongkongi võib tabada tugev taifuun

Águas de Lindóia, 5. oktoober 2021

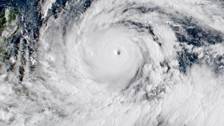
Troopiline torm Kompasu, mis on nime saanud jaapani keeles sõna “kompass” järgi, asub linnast 482 km lõuna pool ja puhub kuni 115 km/h tuulega.
See peaks hoiatama laevaliikluse peatamise ja mitmete bussiliinide katkestamisega, kuigi ka metroo on ohus ja peaks peatama oma tegevuse.
Koolid võivad sulgeda varem, nagu ka mõned valitsusasutused ja eraõiguslikud bürood.
Uus troopiline torm Lionrock koos paduvihmade ja tugeva tuulega.
Kuigi torm võib jääda sadade kilomeetrite kaugusele Hongkongist lõuna poole, jääb hoiatus 22 tunniks, mis on pikim hoiatus alates 1978. aastast.
Paljusid elanikke üllatab Lionrocki raevukus, mis hakkab 7. oktoobril 2021 tugevate vihmadega linna tabama.
Hongkong peaks valmistuma 12. või 13. päeval saabuvaks taifuuniks, mis on teine vähem kui nädala jooksul ja millega kaasnevad tugevad vihmad ja tugevad tuuled.
Üks kõige hullem võiks olla 16. novembril 2021 , tugev taifuun, mis võib tabada Hiinat, Hong Kongi, Taiwani, Macau tugevate tuulte, üleujutuste ja hävingutega.
Hiina
Hiina Shanxi provintsis võib raskete üleujutuste tagajärjel surra vähemalt 17 inimest. Hiina , Rohkem kui 120 000 inimest peab ümber asuma ja 1,80 miljonit inimest kannatab tormide tõttu. Enamik umbes 60 kaevandustest, mis suletakse vihmade tõttu .Ja eeldatavasti halveneb olukord lähiaastatel .

Prof. Jucelino Luz – teadlane, kirjanik, keskkonnakaitsja ja vaimne teejuht.

www.jucelinodaluz.com.br

Publicado por JUCELINO NOBREGA DA LUZ

Jucelino Nóbrega da Luz, É escritor, ambientalista , orientador espiritual, visionário de grande credibilidade no mundo , apresentado em alguns meios de comunicação de massa no Brasil , Hong Kong , Japão, França , EUA , como um profeta que pode fazer previsões por meio de sonhos (sonhos lúcidos). Nasceu em Floriano, Maringá, Estado do Paraná. Brasil .Considerado um profeta da era moderna, orientador espiritual . .Tem um trabalho em favor da humanidade , proteção ambiental e da preservação do planeta . ジュセリーノノブレガダルス、 彼は作家、環境保護主義者、精神的顧問であり、世界で大きな信頼を築く先見の明を持っており、夢(明晰夢)を通して予測を行うことができる預言者として、ブラジル、香港、日本、フランス、米国のいくつかのマスメディアで紹介されています。 パラナ州マリンガのフロリアーノに生まれる。 ブラジル。現代の預言者、スピリチュアルガイドと見なされます。 。人類、環境保護、地球の保全に有利な働きをしています。 Jucelino Nóbrega da Luz, He is a writer, environmentalist, spiritual advisor, visionary of great credibility in the world, presented in some mass media in Brazil, Hong Kong, Japan, France, USA, as a prophet who can make predictions through dreams (lucid dreams) . Born in Floriano, Maringá, State of Paraná. Brazil. Considered a prophet of the modern era, spiritual guide. He has a job in favor of humanity, environmental protection and the preservation of the planet. Жуселино Нобрега да Луз, Он писатель, защитник окружающей среды, духовный наставник, провидец, пользующийся большим доверием в мире, представленный в некоторых средствах массовой информации в Бразилии, Гонконге, Японии, Франции, США как пророк, который может делать предсказания через сны (осознанные сны). Родился в Флориано, Маринга, штат Парана. Бразилия Считается пророком современной эпохи, духовным наставником. .Он работает на благо человечества, защиты окружающей среды и сохранения планеты. Jucelino Nóbrega da Luz, 그는 작가, 환경 운동가, 영적 고문, 세계에서 위대한 신뢰의 비전가이며, 꿈 (자각몽)을 통해 예언을 할 수있는 예언자로 브라질, 홍콩, 일본, 프랑스, ​​미국의 일부 대중 매체에 발표되었습니다. 파라나 주 마링가의 플로리 아노 출생. 브라질 : 현대 시대의 선지자, 영적 인도자로 간주됩니다. . 인류, 환경 보호 및 지구 보존을 위해 일하고 있습니다. Jucelino Nóbrega da Luz, C'est un écrivain, environnementaliste, conseiller spirituel, visionnaire d'une grande crédibilité dans le monde, présenté dans certains médias de masse au Brésil, Hong Kong, Japon, France, USA, comme un prophète capable de faire des prédictions à travers les rêves (rêves lucides). Né à Floriano, Maringá, État du Paraná. Brésil, considéré comme un prophète de l'ère moderne, guide spirituel. .Ouvre en faveur de l'humanité, de la protection de l'environnement et de la préservation de la planète. JucelinoNóbregada Luz, 他是一位作家,环境保护主义者,精神顾问,具有远见卓识的世界,曾在巴西,香港,日本,法国,美国的一些大众媒体上作过演讲,他是先知,可以通过梦(清醒的梦)做出预测。 出生于巴拉那州马林加的弗洛里亚诺。 巴西:被视为现代的先知,属灵向导。 致力于人类,环境保护和地球的保护。 Jucelino Nóbrega da Luz, Es escritor, ambientalista, asesor espiritual, visionario de gran credibilidad en el mundo, presentado en algunos medios de comunicación de Brasil, Hong Kong, Japón, Francia, Estados Unidos, como un profeta que puede hacer predicciones a través de los sueños (sueños lúcidos). Nacido en Floriano, Maringá, Estado de Paraná. Brasil Considerado profeta de la era moderna, guía espiritual. .Ha trabajado a favor de la humanidad, la protección del medio ambiente y la preservación del planeta. जुसेलिनो नोब्रेगा दा लूज़, वह एक लेखक, पर्यावरणविद्, आध्यात्मिक सलाहकार, दुनिया में महान विश्वसनीयता के दूरदर्शी, ब्राजील, हांगकांग, जापान, फ्रांस, संयुक्त राज्य अमेरिका में कुछ बड़े पैमाने पर मीडिया में प्रस्तुत किए गए एक पैगंबर हैं जो सपनों के माध्यम से भविष्यवाणियां कर सकते हैं (आकर्षक सपने)। फ्लोरानो, मारिंगा, पराना राज्य में जन्मे। ब्राजील। आधुनिक युग, आध्यात्मिक मार्गदर्शक का पैगंबर माना जाता है। .हास मानवता, पर्यावरण संरक्षण और ग्रह के संरक्षण के पक्ष में काम करता है। Jucelino Nóbrega da Luz, È scrittore, ambientalista, consigliere spirituale, visionario di grande credibilità nel mondo, presentato in alcuni mass media in Brasile, Hong Kong, Giappone, Francia, USA, come un profeta che può fare previsioni attraverso i sogni (sogni lucidi). Nato a Floriano, Maringá, Stato del Paraná. Brasile Considerato un profeta dell'era moderna, guida spirituale. . Opera a favore dell'umanità, della protezione ambientale e della salvaguardia del pianeta. Jucelino Nóbrega da Luz, Brezilya, Hong Kong, Japonya, Fransa, ABD'deki bazı kitle iletişim araçlarında rüyalar (berrak rüyalar) yoluyla tahminlerde bulunabilen bir peygamber olarak sunulan, dünyadaki büyük güvenilirliğe sahip bir yazar, çevreci, ruhani danışman, vizyonerdir. Floriano, Maringá, Paraná Eyaleti'nde doğdu. Brezilya Modern çağın bir peygamberi olarak kabul edildi, ruhani rehber. .İnsanlık, çevrenin korunması ve gezegenin korunması için çalışır. Jucelino Nóbrega da Luz, เขาเป็นนักเขียนนักสิ่งแวดล้อมที่ปรึกษาด้านจิตวิญญาณผู้มีวิสัยทัศน์ที่มีความน่าเชื่อถือสูงในโลกซึ่งนำเสนอในสื่อมวลชนบางแห่งในบราซิลฮ่องกงญี่ปุ่นฝรั่งเศสสหรัฐอเมริกาในฐานะนักพยากรณ์ที่สามารถทำนายผ่านความฝัน (ความฝันที่ชัดเจน) เกิดใน Floriano, Maringá, State of Paraná บราซิลถือเป็นศาสดาแห่งยุคสมัยใหม่คู่มือจิตวิญญาณ ทำงานเพื่อประโยชน์ของมนุษยชาติการปกป้องสิ่งแวดล้อมและการรักษาโลกใบนี้ Jucelino Nóbrega da Luz, Ia adalah seorang penulis, pemerhati lingkungan, penasehat spiritual, visioner dengan kredibilitas besar di dunia, dihadirkan di beberapa media massa di Brazil, Hongkong, Jepang, Perancis, USA, sebagai seorang nabi yang dapat meramal melalui mimpi (lucid dream). Lahir di Floriano, Maringá, Negara Bagian Paraná. Brazil Dianggap sebagai nabi zaman modern, pembimbing spiritual. . Telah bekerja untuk kemanusiaan, perlindungan lingkungan dan pelestarian planet Jucelino Nóbrega da Luz, Han er en forfatter, miljøverner, åndelig rådgiver, visjonær om stor troverdighet i verden, presentert i noen massemedier i Brasil, Hong Kong, Japan, Frankrike, USA, som en profet som kan komme med spådommer gjennom drømmer (klare drømmer). Født i Floriano, Maringá, delstaten Paraná. Brasil. Betraktet som en profet fra den moderne tid, åndelig guide. .Har arbeidet til fordel for menneskeheten, miljøvern og bevaring av planeten. Jucelino Nóbrega da Luz, Er ist ein Schriftsteller, Umweltschützer, spiritueller Berater, Visionär von großer Glaubwürdigkeit in der Welt, der in einigen Massenmedien in Brasilien, Hongkong, Japan, Frankreich und den USA als Prophet vorgestellt wird, der Vorhersagen durch Träume treffen kann (klare Träume). Geboren in Floriano, Maringá, Bundesstaat Paraná. Brasilien. Gilt als Prophet der Neuzeit, als spiritueller Führer. Hat sich für die Menschheit, den Umweltschutz und die Erhaltung des Planeten eingesetzt. Jucelino Nóbrega da Luz Jest pisarzem, ekologiem, doradcą duchowym, wizjonerem o dużej wiarygodności w świecie, przedstawianym w niektórych środkach masowego przekazu w Brazylii, Hongkongu, Japonii, Francji, USA, jako prorok, który potrafi przepowiadać przez sny (świadome sny). Urodzony w Floriano, Maringá, w stanie Paraná. Brazylia, uważana za proroka współczesności, duchowego przewodnika. . Działa na rzecz ludzkości, ochrony środowiska i planety. Jucelino Nóbrega da Luz, Hij is een schrijver, milieuactivist, spiritueel adviseur, visionair met grote geloofwaardigheid in de wereld, gepresenteerd in sommige massamedia in Brazilië, Hong Kong, Japan, Frankrijk, VS, als een profeet die voorspellingen kan doen door middel van dromen (lucide dromen). Geboren in Floriano, Maringá, staat Paraná. Brazilië Beschouwd als een profeet van de moderne tijd, spirituele gids. . Heeft zich ingezet voor de mensheid, de bescherming van het milieu en het behoud van de planeet. Jucelino Nóbrega da Luz, Siya ay isang manunulat, pangkapaligiran, tagapayo sa espiritu, tagatingin ng dakilang kredibilidad sa buong mundo, na ipinakita sa ilang mass media sa Brazil, Hong Kong, Japan, France, USA, bilang isang propeta na maaaring gumawa ng mga hula sa pamamagitan ng mga pangarap (malaswang pangarap). Ipinanganak sa Floriano, Maringá, Estado ng Paraná. Brazil. Itinuring na isang propeta ng modernong panahon, patnubay sa espiritu. .Nagtrabaho sa pabor sa sangkatauhan, proteksyon sa kapaligiran at pangangalaga ng planeta. Jucelino Nóbrega da Luz, Είναι συγγραφέας, περιβαλλοντολόγος, πνευματικός σύμβουλος, οραματιστής μεγάλης αξιοπιστίας στον κόσμο, παρουσιάζεται σε ορισμένα μέσα μαζικής ενημέρωσης στη Βραζιλία, το Χονγκ Κονγκ, την Ιαπωνία, τη Γαλλία, τις ΗΠΑ, ως προφήτης που μπορεί να κάνει προβλέψεις μέσω των ονείρων (διαυγή όνειρα). Γεννήθηκε στο Floriano, Maringá, Πολιτεία της Παρανάς. Βραζιλία. Θεωρείται προφήτης της σύγχρονης εποχής, πνευματικός οδηγός. Έχει εργαστεί υπέρ της ανθρωπότητας, της προστασίας του περιβάλλοντος και της διατήρησης του πλανήτη. Jucelino Nóbrega da Luz, Han er en forfatter, miljøforkæmper, åndelig rådgiver, visionær med stor troværdighed i verden, præsenteret i nogle massemedier i Brasilien, Hongkong, Japan, Frankrig, USA, som en profet, der kan forudsige gennem drømme (klare drømme). Født i Floriano, Maringá, Paraná. Brasilien. Betragtes som en profet i den moderne tid, åndelig vejledning. .Har arbejdet til fordel for menneskeheden, miljøbeskyttelse og bevarelse af planeten. ஜூசெலினோ நெப்ரிகா டா லூஸ், அவர் ஒரு எழுத்தாளர், சுற்றுச்சூழல் ஆர்வலர், ஆன்மீக ஆலோசகர், உலகில் பெரும் நம்பகத்தன்மை கொண்ட தொலைநோக்கு பார்வையாளர், பிரேசில், ஹாங்காங், ஜப்பான், பிரான்ஸ், அமெரிக்கா ஆகிய நாடுகளில் சில வெகுஜன ஊடகங்களில் கனவுகள் (தெளிவான கனவுகள்) மூலம் கணிப்புகளைச் செய்யக்கூடிய ஒரு தீர்க்கதரிசியாக வழங்கப்படுகிறார். பரானா மாநிலத்தின் மரிங்காவின் புளோரியானோவில் பிறந்தார். பிரேசில். நவீன சகாப்தத்தின் தீர்க்கதரிசி என்று கருதப்படுகிறது, ஆன்மீக வழிகாட்டி. மனிதகுலம், சுற்றுச்சூழல் பாதுகாப்பு மற்றும் கிரகத்தின் பாதுகாப்பிற்கு ஆதரவாக செயல்படுகிறார். Jucelino Nóbrega da Luz, Han är en författare, miljöaktivist, andlig rådgivare, visionär med stor trovärdighet i världen, presenterad i vissa massmedier i Brasilien, Hongkong, Japan, Frankrike, USA, som en profet som kan göra förutsägelser genom drömmar (klara drömmar). Född i Floriano, Maringá, delstaten Paraná. Brasilien. Anses vara en profet i den moderna eran, andlig vägledning. .Har arbetat till förmån för mänskligheten, miljöskyddet och bevarandet av planeten. Jucelino Nóbrega da Luz, ის არის მწერალი, გარემოს დამცველი, სულიერი მრჩეველი, მსოფლიოში დიდი სანდოობის განწყობილი. წარმოდგენილია ბრაზილიის, ჰონგ კონგის, იაპონიის, საფრანგეთის, აშშ – ს ზოგიერთ მასმედიაში, როგორც წინასწარმეტყველს, რომელსაც შეუძლია წინასწარმეტყველება გააკეთოს სიზმრების საშუალებით (გაბრწყინებული სიზმრები). პარანას შტატი, მარინგა, ფლორიანოში დაიბადა. ბრაზილია. ითვლება თანამედროვე ეპოქის წინასწარმეტყველად, სულიერ მეგზურად. მუშაობდა კაცობრიობის, გარემოს დაცვისა და პლანეტის შენარჩუნების სასარგებლოდ UJucelino Nóbrega da Luz, Ungumbhali, isazi sezemvelo, umeluleki wezikamoya, onombono wokwethembeka okukhulu emhlabeni, owethulwe kweminye imithombo yezindaba e-Brazil, eHong Kong, eJapane, eFrance, e-USA, njengomprofethi ongenza izibikezelo ngamaphupho (amaphupho amahle). Wazalelwa eFloriano, eMaringá, esifundazweni saseParaná. EBrazil.Kuthathwa njengomprofethi wesikhathi sanamuhla, umhlahlandlela ongokomoya. Usebenzele ukuvikela ubuntu, ukuvikelwa kwemvelo kanye nokulondolozwa kweplanethi. Jucelino Nóbrega da Luz, Este scriitor, ecologist, consilier spiritual, vizionar de mare credibilitate în lume, prezentat în unele mass-media din Brazilia, Hong Kong, Japonia, Franța, SUA, ca profet care poate face predicții prin vise (vise lucide). Născut în Floriano, Maringá, statul Paraná. Brazilia. Considerat un profet al erei moderne, ghid spiritual. .Acționează în favoarea umanității, a protecției mediului și a conservării planetei.

Deixe um comentário